площадью 128,90 м2, по цене 23150380 по адресу Гагаринская - 16 литера А

Цена 23 150 380 р.
Район Центральный
Адрес Гагаринская, 16 литера А
Площадь помещения 128,9 м2
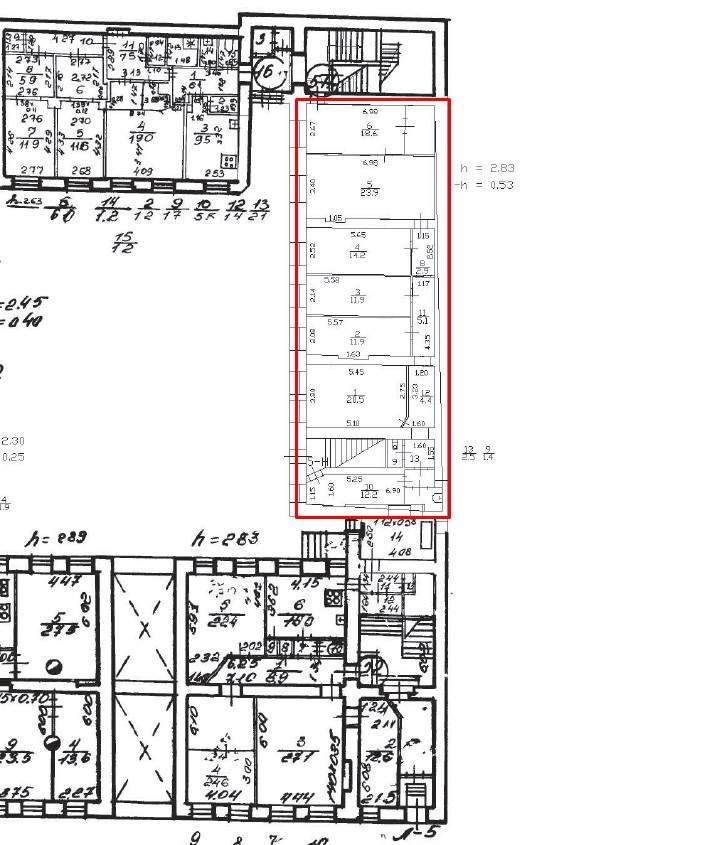
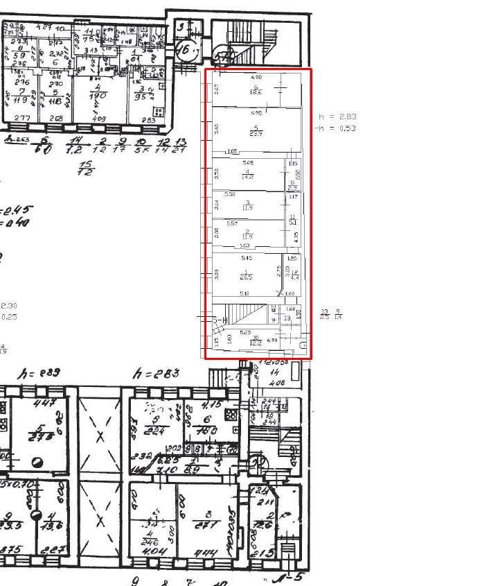
Код лота: 62C46C9-4001-6867-1. Реализуется на торгах. Общая информация: Адрес: г. Санкт-Петербург, Гагаринская ул. , д. 16, литера. А, пом. 5-Н. Общая площадь: 128,9 кв.м. Кадастровый номер: 78: 31: 0001193: 2794 Этаж: цоколь, заглубление -0,53 м. Высота потолка: 2,83 м. Вход: отдельный со двора Состояние помещения: требуется капитальный ремонт. Инженерные коммуникации: электроснабжение, водоснабжение, канализация, отопление. Вид права: собственность АО «Почта России». Обременения: договор аренды до 25.11.2025 г. Год постройки здания: 1836 г. Дом относится к объектам культурного наследия регионального значения «Салон Карамзиных». Окружение и транспортная доступность Помещение расположено в центре города недалеко от набережной реки Фонтанки и Летнего сада. Парковка легковых автомобилей осуществляется на придомовой и дворовой территории. Парковка платная. Ближайшая станция метро «Чернышевская» 1,3 м (15 минут пешком) , ст. м. «Гостиный двор» расположена на расстоянии 1,7 км (20 минут пешком) Ближайшая остановка общественного транспорта расположена на Гагаринской ул. и Литейном пр. Перспективное использование Помещение возможно использовать в качестве офисного, сферы услуг (офис, бытовые услуги, салон красоты, склад-магазин и др. ) после проведения капитального ремонта. https: //catalog. lot-online. ru/index. php?dispatch=products. view&product_id=870944
Объявление № 23172703
Дата подачи:
22 августа 2025 г. 12:55
Дата обновления:
7 октября 2025 г. 3:34
Просмотров 7 Хотите продать быстрее?

Продавец
Кириллова Анастасия
Показать номер телефона
Пожаловаться
Комментарии:
Добавить